Рыба рода Ставриды (Trachurus) подсемейства Caranginae семейства Ставридовые (Carangidae) надсемейства Percoidea подотряда Окуневидные (Percoidei) отряда Окунеобразные (Perciformes) надотряда Колючепёрые (Acanthopterygii).

(Обыкновенная, или европейская ставрида. Фото © Mariano García Rodríguez. fishbase.org)
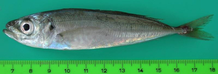
Обыкновенная, или европейская ставрида (Trachurus trachurus) впервые описана в 1758 году шведским естествоиспытателем Карлом Линнеем (Carolus Linnaeus, 1707-1778).
Пелагический прибрежный вид. Образует большие стаи над песчаным дном. Обитает на глубинах до 1050 метров, обычно 100-200 метров. Максимальная зарегистрированная длина 70 см, чаще встречаются экземпляры до 30 см. Максимальный вес 2 килограмма. Питается рыбой, ракообразными и головоногими моллюсками.

(Обыкновенная, или европейская ставрида. Фото © Akın Türker İlkyaz. ilkyaz.eu)
Постоянный обитатель Адриатического моря.
Названия обыкновенной, или европейской ставриды (Trachurus trachurus) на других языках:
Atlantic horse mackerel, Common scad (английский), Stavrida atlantike (албанский), Атлантическо-средиземноморски сафрид (Atlantichesko-sredizemnomorsri safrid) (болгарский), Horsmakreel (голландский), Γκριζοσαύριδο (Grizosavrido) (греческий), Trakhon gedol magen (иврит), Jurel (испанский), Suro (итальянский), Bastardmakrele (немецкий), Ostrobok pospolity (польский), Carapau-branco (португальский), Širun, Šarun, Šnjur (сербский, хорватский), Šur (словенский), Karagöz istavrit (турецкий), Chinchard d’Europe (французский).